SZENTES VÁROS ÖNKORMÁNYZATA
PÁLYÁZATI KIÍRÁSA

a Szentes, Kikelet utcától keletre eső építési telkek értékesítésével kapcsolatosan.

 

A térképre kattintva kinagyítható!

 

A pályázatot zárt borítékban 2005. július 04. 10 00 óráig kell leadni

a Polgármesteri Hivatal 217-es számú szobájában.

 

Az ingatlan vásárlására pályázhat minden olyan természetes és jogi személy, akinek Magyar-országon köztartozása nincs, és nem áll csőd- és felszámolási eljárás alatt.

 

Az ingatlan kikiáltási ára 1.100 Ft/m2+ áfa

 

Az építési telkeken –az építéshatóság engedélyének beszerzését követően-családi ház építhető. Az építési engedély az Étv 18.§-a illeszkedési szabályai betartásával szerezhető meg.

A Műszaki Osztály konzultációs lehetőséget biztosít a beépítési lehetőségekkel kapcsolatosan.

 

Területi adatok:

                            3881/22 hrsz.                      1.276 m2

                            3881/23 hrsz                       1.250 m2

                            3881/24 hrsz                       1.250 m2

                            3881/25 hrsz                       1.250 m2

                            3881/26 hrsz                       1.250 m2

 

 

Közműellátottság: Víz- gáz-, elektromos vezetékre csatlakozási lehetőség biztosított.

 Eladó kiköti, hogy az ingatlan 2 éves beépítési kötelezettség előírásának terhével kerül értékesítésre.

 

A benyújtandó pályázatnak az alábbiakat kell tartalmaznia.

1. A pályázó pontos nevét, adatait (születési év, hó, nap, anyja neve, lakcím, adószám és/vagy adóazonosító szám, ill. egyéni vállalkozói engedély, 30 napnál nem régebbi cégki-vonat aláírási címpéldány másolatban).

2. Az ingatlan megvételére vonatkozó árajánlatát.

3. Nyilatkozatot, mely tartalmazza, az építkezés kezdési- és befejezési időpontját.

4. A területen felépítendő épület (épületegyüttes) funkcióját, beépítési elképzeléseit (építési hatósággal egyeztetve).

5. Nyilatkozatot arról, hogy nem áll csőd- vagy felszámolási eljárás alatt, igazolást arról hogy köztartozása nincs, a vállalkozás fizetőképes (adó, vám, társadalombiztosítás, pénzintézet)

 

A bizottság a pályázatokat egyidejűleg bontja fel, s fenntartja jogát a pályázókkal való további egyeztetés, illetve a versenytárgyalás lehetőségét is.

A Bizottság kizárhatja azt a pályázót, aki a pályázati feltételeknek nem megfelelő ajánlatot tesz.

Az a pályázó nyer, aki a város szempontjából összességében a legkedvezőbb vételi ajánlatot teszi, és vállalja a kiírás egyéb feltételeinek teljesítését.

A kiíró a pályázat eredményéről írásban értesíti az érdekelteket.

 

A pályázat kiírója a nyertesnek nyilvánított pályázóval az eredményhirdetést követő 15 napon belül szerződést köt. A szerződéskötéssel egyidejűleg be kell fizetnie a Bizottság által elfogadott vételi árat.

 

Amennyiben az első helyre rangsorolt pályázó nem szerződőképes, a pályázat kiírója a második helyre sorolt, annak alkalmatlansága esetén pedig a harmadik helyre sorolt, érvényesnek nyilvánított pályázóval köt szerződést.

 

A pályázat kiírója fenntartja a jogát, hogy a pályázatot eredménytelennek nyilvánítsa.

 


 

SZENTES VÁROS ÖNKORMÁNYZATA
PÁLYÁZATI KIÍRÁSA

a Szentes, víztorony környékén elhelyezkedő

ingatlan értékesítésével kapcsolatosan.

 

A térképre kattintva kinagyítható!

 

A pályázatot zárt borítékban 2005. július 04. 10 00 óráig kell leadni,

a Polgármesteri Hivatal 217-es számú szobájában.

 

Az ingatlan vásárlására pályázhat minden olyan természetes és jogi személy, akinek Magyar-országon köztartozása nincs, és nem áll csőd- és felszámolási eljárás alatt.

 

Az ingatlan kikiáltási ára 11.000 Ft/m2 + áfa

 

A pályázat elnyerése esetén a nyertes pályázónak 3 napon belül 10 % foglalót kell befizetnie az elfogadott ár után.

 

Az ingatlan a városközpontból Szeged felé vezető forgalmas út mentén helyezkedik el a víztorony szomszédságában. A környezetében kisebb kereskedelmi egységek, lakások valamint az autóbusz pályaudvar található.

Kereskedelmi, melegkonyhás vendéglátó-ipari vagy szolgáltató együttes, lakások, esetleg vegyes rendeltetésű épület kialakítása lenne célszerű. (földszinten üzletek +lakások)

Játékautomaták üzemeltetését nem támogatja a kiíró.

Építészeti előírások az Étv. 18. § szerinti illeszkedési szabályok alapján.

Parkolók elhelyezését telken belül kell megoldani.

A Műszaki Osztály konzultációs lehetőséget biztosít a beépítési lehetőségekkel kapcsolatosan.

 

Területi adatok:

            5524 hrsz.                                         710 m2

            5525/99 hrsz. területből               cca: 350 m2

            Összesen                                cca: 1.060 m2

 

Közműellátottság: A terület határán az összes közműcsatlakozás megoldható.

 

Sikeres pályáztatás esetén a nyertes pályázónak el kell készíteni a terület megosztási vázrajzát.

 

Eladó kiköti, hogy az ingatlan beépítési kötelezettséggel kerül értékesítésre. (Feltételei az adásvételi szerződésben kerülnek rögzítésre) A beépítési előírásokat előzetesen a Főépítésszel valamint a Műszaki Osztállyal egyeztetni kell.

Az építkezést a szerződéskötéstől számított 9 hónapon belül meg kell kezdeni, s azt a szerződéskötéstől számított 30 hónapon belül be kell fejezni.

 

A benyújtandó pályázatnak az alábbiakat kell tartalmaznia.

1. A pályázó pontos nevét, adatait (születési év, hó, nap, anyja neve, lakcím, adószám és/vagy adóazonosító szám, ill. egyéni vállalkozói engedély, 30 napnál nem régebbi cégki-vonat aláírási címpéldány másolatban).

2. Az ingatlan megvételére vonatkozó árajánlatát.

3. Nyilatkozatot, mely tartalmazza, a beruházás tervezett kezdési- és befejezési időpontját.

4. A területen felépítendő épület (épületegyüttes) funkcióját, beépítési vázrajzot (építési ha-tósággal egyeztetve) a megvalósításhoz szükséges terület megjelölésével.

5. A beruházás egészére vonatkozó pénzügyi fedezetről szóló igazoló okiratot (illetve hiteles nyilatkozatot)

6. Nyilatkozatot arról, hogy nem áll csőd- vagy felszámolási eljárás alatt, igazolást arról hogy köztartozása nincs, a vállalkozás fizetőképes (adó, vám, társadalombiztosítás, pénzintézet)

 

A bizottság a pályázatokat egyidejűleg bontja fel, s fenntartja jogát a pályázókkal való további egyeztetés, illetve a versenytárgyalás lehetőségét is.

A Bizottság kizárhatja azt a pályázót, aki a pályázati feltételeknek nem megfelelő ajánlatot tesz.

Az a pályázó nyer, aki a város szempontjából a legkedvezőbb vételi ajánlatot teszi, és vállal-ja a kiírás egyéb feltételeinek teljesítését.

A kiíró a pályázat eredményéről írásban értesíti az érdekelteket.

 

A pályázat kiírója a nyertesnek nyilvánított pályázóval az eredményhirdetést követő 15 napon belül szerződést köt. A szerződéskötéssel egyidejűleg be kell fizetnie a Bizottság által elfogadott vételi árat.

Amennyiben az első helyre rangsorolt pályázó nem szerződőképes, a pályázat kiírója a második helyre sorolt, annak alkalmatlansága esetén pedig, a harmadik helyre sorolt, érvényesnek nyilvánított pályázóval köt szerződést.

A pályázat kiírója fenntartja a jogát, hogy a pályázatot eredménytelennek nyilvánítsa.

 


 

SZENTES VÁROS ÖNKORMÁNYZATA

PÁLYÁZATI KIÍRÁSA

a Szentes, Új utca 7. sz. (5541/66 hrsz.) alatti ingatlan

értékesítésével kapcsolatosan.

  

A térképre kattintva kinagyítható!

 

A pályázatot zárt borítékban 2005. július 04. 10 00 óráig kell leadni

a Polgármesteri Hivatal 217-es számú szobájában.

 

Az ingatlan vásárlására pályázhat minden olyan természetes és jogi személy, akinek Magyarországon köztartozása nincs, és nem áll csőd- és felszámolási eljárás alatt.

 

Az ingatlan kikiáltási ára 13.500.- Ft/m2+ áfa

A pályázat elnyerése esetén a nyertes pályázónak 3 napon belül 10 % foglalót kell befizetnie az elfogadott ár után.

 

Az építési övezet tájékoztató előírásai:

Településközponti kialakult vegyes terület.

A jelenleg meglévő tűzfalas épületek között kialakított telken a városképet javító építmény helyezhető el, a szomszédos épületek homlokzatmagasságát és kialakítását követve (max 16 m építménymagasság). A területen kialakítható kereskedelmi, szolgáltató egységek, illetve lakások, a hozzájuk tartozó gépkocsi tároló helyiségekkel (mélygarázs).

Játékautomaták üzemeltetését nem támogatja a kiíró.

A beépítési mód a mellékelt vázlat szerint.

 

Területi adatok: 5541/66 hrsz.   489 m2

 

Közműellátottság: A terület határán az összes közműcsatlakozás megoldható.

 

Eladó kiköti, hogy az ingatlan beépítési kötelezettséggel kerül értékesítésre. (Feltételei az adásvételi szerződésben kerülnek rögzítésre) Az építési engedély a 9/2000. (V.13.) KT sz. rendelet előírásait betartva szerezhető meg.

A Műszaki Osztály konzultációs lehetőséget biztosít a beépítési lehetőségekkel kapcsolatosan.

Az építési engedélyt a szerződéskötéstől számított 3 hónapon belül meg kell kérni, és a jogerős építési engedély megszerzésétől számított 24 hónapon belül a beruházást be kell fejezni.

A megvalósítandó épületre az építési engedély nem ütemezhető, használatbavételi engedélyt az egész épületegyüttesre egyszerre kell megkérni.

 

 A benyújtandó pályázatnak az alábbiakat kell tartalmaznia.

1. A pályázó pontos nevét, adatait (születési év, hó, nap, anyja neve, lakcím, adószám és/vagy adóazonosító szám, ill. egyéni vállalkozói engedély, 30 napnál nem régebbi cégkivonat aláírási címpéldány másolatban).

2. Az ingatlan megvételére vonatkozó árajánlatát.

3. Nyilatkozatot, mely tartalmazza, az építkezés kezdési- és befejezési időpontját.

4. A területen felépítendő épület (épületegyüttes) funkcióját, beépítési elképzeléseit (építési hatósággal egyeztetve).

5. Nyilatkozatot arról, hogy nem áll csőd- vagy felszámolási eljárás alatt, igazolást arról hogy köztartozása nincs, a vállalkozás fizetőképes (adó, vám, társadalombiztosítás, pénzintézet)

 

A bizottság a pályázatokat egyidejűleg bontja fel, s fenntartja jogát a pályázókkal való további egyeztetés, illetve a versenytárgyalás lehetőségét is.

A Bizottság kizárhatja azt a pályázót, aki a pályázati feltételeknek nem megfelelő ajánlatot tesz.

Az a pályázó nyer, aki a város szempontjából összességében a legkedvezőbb vételi ajánlatot teszi, és vállalja a kiírás egyéb feltételeinek teljesítését.

A kiíró a pályázat eredményéről írásban értesíti az érdekelteket.

 

A pályázat kiírója a nyertesnek nyilvánított pályázóval az eredményhirdetést követő 15 napon belül szerződést köt. A szerződéskötéssel egyidejűleg be kell fizetnie a Bizottság által elfogadott vételi árat.

 

Amennyiben az első helyre rangsorolt pályázó nem szerződőképes, a pályázat kiírója a második helyre sorolt, annak alkalmatlansága esetén pedig a harmadik helyre sorolt, érvényesnek nyilvánított pályázóval köt szerződést.

 

A pályázat kiírója fenntartja a jogát, hogy a pályázatot eredménytelennek nyilvánítsa.

 


 

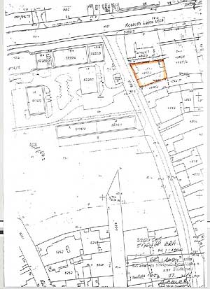
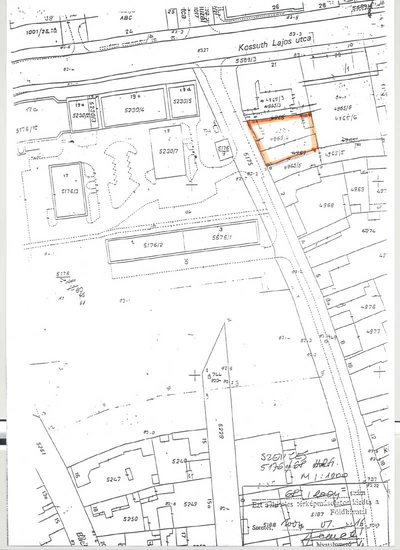
SZENTES VÁROS ÖNKORMÁNYZATA
PÁLYÁZATI KIÍRÁSA

a Szentes, Somogyi B. u. 2/a sz. (4965/4 hrsz.) alatti ingatlan

értékesítésével kapcsolatosan.

  

A térképre kattintva kinagyítható!

 

A pályázatot zárt borítékban 2005. július 04. 10 00 óráig kell leadni

a Polgármesteri Hivatal 217-es számú szobájában.

  

Az ingatlan vásárlására pályázhat minden olyan természetes és jogi személy, akinek Magyar-országon köztartozása nincs, és nem áll csőd- és felszámolási eljárás alatt.

 

Az ingatlan kikiáltási ára 13.500 Ft/m2+ áfa

 

A pályázat elnyerése esetén a nyertes pályázónak 3 napon belül 10 % foglalót kell befizetnie az elfogadott ár után.

A területen lakások, irodák, garázsok, melegkonyhás vendéglátó-ipari, kereskedelmi és szolgáltató egységek kialakítása célszerű.

Játékautomaták üzemeltetését nem támogatja a kiíró.

 

Az építési övezet tájékoztató előírásai:

- Kisvárosias lakóterület, lakóépületek, intézmények, gazdasági, szolgáltató létesítmények helyezhetők el.

- A beépítés mértéke max. 50%, zárt vagy félig zártsorú módon.

- Az utcai homlokzat magassága min, 5,5 m és a kialakult állapotnak megfelelő legyen.

 

Területi adatok:       4965/4 hrsz.     707 m2

  

Közműellátottság:

             A Somogyi Béla utca felől az összes közműcsatlakozás megoldható.

  

Az ingatlant a földhivatali nyilvántartásban nem szereplő szennyvízcsatorna szolgalmi jog terheli. A vezeték kiváltása - sikeres pályáztatás esetén - az Önkormányzatot terheli.

 

Eladó kiköti, hogy az ingatlan beépítési kötelezettséggel kerül értékesítésre. (Feltételei az adásvételi szerződésben kerülnek rögzítésre) Az építési engedély a 9/2000. (V.13.) KT sz. rendelet előírásait betartva szerezhető meg.

 A Műszaki Osztály konzultációs lehetőséget biztosít a beépítési lehetőségekkel kapcsolatosan.

Az építési engedélyt a szerződéskötéstől számított 3 hónapon belül meg kell kérni, és a jog-erős építési engedély megszerzésétől számított 24 hónapon belül a beruházást be kell fejezni.

A megvalósítandó épületre az építési engedély nem ütemezhető, használatbavételi engedélyt az egész épületegyüttesre egyszerre kell megkérni.

A megvalósítandó épülethez kapcsolódó parkolókat a beruházó saját telkén köteles megépíteni.

 

A benyújtandó pályázatnak az alábbiakat kell tartalmaznia.

1. A pályázó pontos nevét, adatait (születési év, hó, nap, anyja neve, lakcím, adószám és/vagy adóazonosító szám, ill. egyéni vállalkozói engedély, 30 napnál nem régebbi cégki-vonat aláírási címpéldány másolatban).

2. Az ingatlan megvételére vonatkozó árajánlatát.

3. Nyilatkozatot, mely tartalmazza, az építkezés kezdési- és befejezési időpontját.

4. A területen felépítendő épület (épületegyüttes) funkcióját, beépítési elképzeléseit (építési hatósággal egyeztetve).

5. Nyilatkozatot arról, hogy nem áll csőd- vagy felszámolási eljárás alatt, igazolást arról hogy köztartozása nincs, a vállalkozás fizetőképes (adó, vám, társadalombiztosítás, pénzintézet)

 

A bizottság a pályázatokat egyidejűleg bontja fel, s fenntartja jogát a pályázókkal való további egyeztetés, illetve a versenytárgyalás lehetőségét is.

A Bizottság kizárhatja azt a pályázót, aki a pályázati feltételeknek nem megfelelő ajánlatot tesz.

Az a pályázó nyer, aki a város szempontjából összességében a legkedvezőbb vételi ajánlatot teszi, és vállalja a kiírás egyéb feltételeinek teljesítését.

A kiíró a pályázat eredményéről írásban értesíti az érdekelteket.

A pályázat kiírója a nyertesnek nyilvánított pályázóval az eredményhirdetést követő 15 napon belül szerződést köt. A szerződéskötéssel egyidejűleg be kell fizetnie a Bizottság által elfogadott vételi árat.

Amennyiben az első helyre rangsorolt pályázó nem szerződőképes, a pályázat kiírója a második helyre sorolt, annak alkalmatlansága esetén pedig a harmadik helyre sorolt, érvényesnek nyilvánított pályázóval köt szerződést.

A pályázat kiírója fenntartja a jogát, hogy a pályázatot eredménytelennek nyilvánítsa.

 


 

SZENTES VÁROS ÖNKORMÁNYZATA
PÁLYÁZATI KIÍRÁSA

a Szentes, Új utca-Somogyi B. utca sarkán (5176/75 hrsz.) elhelyezkedő

ingatlan értékesítésével kapcsolatosan.

 

A térképre kattintva kinagyítható!

 

A pályázatot zárt borítékban 2005. július 04. 10 00 óráig kell leadni,

a Polgármesteri Hivatal 217-es számú szobájában.

 

Az ingatlan vásárlására pályázhat minden olyan természetes és jogi személy, akinek Magyar-országon köztartozása nincs, és nem áll csőd- és felszámolási eljárás alatt.

 

Az ingatlan kikiáltási ára 13.500 Ft/m2 + áfa

 

A pályázat elnyerése esetén a nyertes pályázónak 3 napon belül 10 % foglalót kell befizetnie az elfogadott ár után.

 

Területi adatok:  5176/75 hrsz ingatlan: 5025 m2

 

Közműellátottság: A Somogyi B u. felől az összes közműcsatlakozás megoldható.

 

Az építési övezet tájékoztató előírásai:

- A területen elsősorban kereskedelmi, szolgáltató, melegkonyhás vendéglátó, iroda létesítmények helyezhetők el, valamint lakások.

- Játékautomaták üzemeltetését nem támogatja a kiíró.

- A létesítményekben folyó tevékenységekhez szükséges gépjármű várakozó helyeket saját telken ill. az épület alatt kell kialakítani. Az építési engedély a 9/2000 (V.13.) KT sz. rendelet előírásait betartva szerezhető meg.

- Az épületek szabadon állóan helyezhetők el, a Városközpont Szabályozási Tervnek megfelelően.

- A beépítés mértéke max. 50 %

- Az épületeket nyeregtetővel kell lefedni, max. építménymagasság 9,0-12,0 m (a D-i oldalon max 9,0m)

- Melléképületek nem építhetők.

- 10 db-nál nagyobb parkoló felületeken 4 gépkocsi-állásonként 1 db előnevelt fát kell elültetni

 

Az ingatlan tehermentes.

 

Eladó kiköti, hogy az ingatlan beépítési kötelezettséggel kerül értékesítésre. (Feltételei az adásvételi szerződésben kerülnek rögzítésre)

A Műszaki Osztály konzultációs lehetőséget biztosít a beépítési lehetőségekkel kapcsolatban.

Az építkezést a szerződéskötéstől számított 9 hónapon belül meg kell kezdeni, s azt a jog-erős építési engedélytől számított 30 hónapon belül be kell fejezni. A vevő jogosult arra, hogy a megépített helyiségeket (szerkezetkész állapotban) folyamatosan értékesítse. (Szerkezetkész állapot: külső közművek megépítése, az épületen belülre történő bevezetése, szükséges parkolók kialakítása, teljes tereprendezés, füvesítés, parkrendezés, épület körüli járdák, utak meg-építése, az épületegyüttes külső homlokzat, tető, tetőhéjazat bádogozással, erkélyek, loggiák megépítése, kialakítása, portálok, külső nyílászárók üvegezéssel, mázolással, közös helyiségek, közlekedők kialakítása, közös lépcsőház megvalósítása, belső alapvezetékek kialakítása).

 

A benyújtandó pályázatnak az alábbiakat kell tartalmaznia.

1. A pályázó pontos nevét, adatait (születési év, hó, nap, anyja neve, lakcím, adószám és/vagy adóazonosító szám, ill. egyéni vállalkozói engedély, 30 napnál nem régebbi cégki-vonat aláírási címpéldány másolatban).

2. Az ingatlan megvételére vonatkozó árajánlatát.

3. Nyilatkozatot, mely tartalmazza, a beruházás tervezett kezdési- és befejezési időpontját.

4. A területen felépítendő épület (épületegyüttes) funkcióját, beépítési vázrajzot (építési hatósággal egyeztetve) a megvalósításhoz szükséges terület megjelölésével.

5. A beruházás egészére vonatkozó pénzügyi fedezetről szóló igazoló okiratot (illetve hiteles nyilatkozatot)

6. Nyilatkozatot arról, hogy nem áll csőd- vagy felszámolási eljárás alatt, igazolást arról hogy köztartozása nincs, a vállalkozás fizetőképes (adó, vám, társadalombiztosítás, pénzintézet)

 

A bizottság a pályázatokat egyidejűleg bontja fel, s fenntartja jogát a pályázókkal való további egyeztetés, illetve a versenytárgyalás lehetőségét is.

A Bizottság kizárhatja azt a pályázót, aki a pályázati feltételeknek nem megfelelő ajánlatot tesz.

Az a pályázó nyer, aki a város szempontjából a legkedvezőbb vételi ajánlatot teszi, és vállal-ja a kiírás egyéb feltételeinek teljesítését.

A kiíró a pályázat eredményéről írásban értesíti az érdekelteket.

 

A pályázat kiírója a nyertesnek nyilvánított pályázóval az eredményhirdetést követő 15 napon belül szerződést köt. A szerződéskötéssel egyidejűleg be kell fizetnie a Bizottság által elfogadott vételi árat.

 

Amennyiben az első helyre rangsorolt pályázó nem szerződőképes, a pályázat kiírója a második helyre sorolt, annak alkalmatlansága esetén pedig, a harmadik helyre sorolt, érvényesnek nyilvánított pályázóval köt szerződést.

 

A pályázat kiírója fenntartja a jogát, hogy a pályázatot eredménytelennek nyilvánítsa.

 

 

.